Beds: 3
Baths: 1 Full | 1 Half

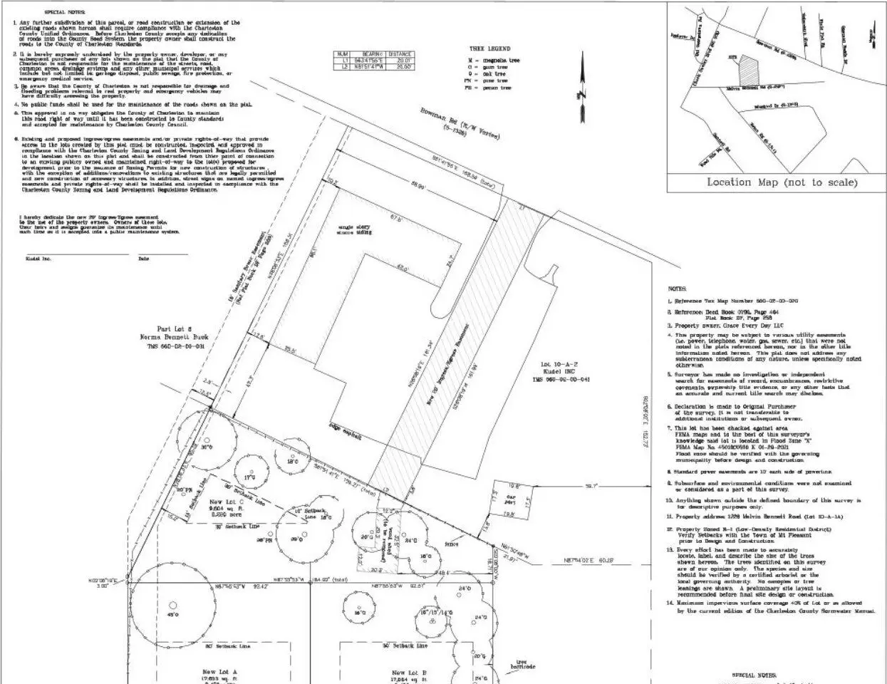
1128 Melvin Bennett Road, Mount Pleasant, South Carolina, 29464, USA

Listed by: Charles Hamrick | Carolina One Real Estate

Options abound with this incredible opportunity to purchase 1 FULL ACRE that is CENTRALLY LOCATED within Mt. Pleasant. NOT in a flood zone! Subdivide and create two lots with good building pads (preliminary survey available). Renovate or tear down the current structure to create a unique property on a rare acre lot with this location. OR - work with the Town of Mt. Pleasant regarding the potential to re-zone the property. Located near shopping, restaurants, Sullivan's Island and Isle of Palms, Towne Centre, I-526, HWY 17, as well as Coleman Blvd, the Ravenel Bridge and downtown Charleston. Even walk or bike to some! Melvin Bennett is a short dead-end road with no through traffic and no HOA. A couple of large trees have been removed to open the building pad.Structure/home sold strictly "as-is." Utilities at the street. No soil tests performed. Seller has prospective building plans for new construction. Location, location, location and a few potential options!
Show More Show Less

Options abound with this incredible opportunity to purchase 1 FULL ACRE that is CENTRALLY LOCATED within Mt. Pleasant. NOT in a flood zone! Subdivide and create two lots with good building pads (preliminary survey available). Renovate or tear down the current structure to create a unique property on a rare acre lot with this location. OR - work with the Town of Mt. Pleasant regarding the potential to re-zone the property. Located near shopping, restaurants, Sullivan's Island and Isle of Palms, Towne Centre, I-526, HWY 17, as well as Coleman Blvd, the Ravenel Bridge and downtown Charleston. Even walk or bike to some! Melvin Bennett is a short dead-end road with no through traffic and no HOA. A couple of large trees have been removed to open the building pad.Structure/home sold strictly "as-is." Utilities at the street. No soil tests performed. Seller has prospective building plans for new construction. Location, location, location and a few potential options!

Highlights:

  • Fireplace with custom stone surround

  • Potential for re-zoning with Town of Mt. Pleasant

  • Close proximity to shopping and dining

  • Rare full acre lot

  • Preliminary survey available

  • Central location near major roads

  • No through traffic on quiet dead-end road

  • Show More Show Less
Reference ID: 25010981 Web ID: xzuv

Listed by Charles Hamrick | Carolina One Real Estate

Contact email form:

Highlights:

  • Fireplace with custom stone surround

  • Potential for re-zoning with Town of Mt. Pleasant

  • Close proximity to shopping and dining

  • Rare full acre lot

  • Preliminary survey available

  • Central location near major roads

  • No through traffic on quiet dead-end road